FAQS sobre FBOS: O que saber sobre operadores de base fixa
É do conhecimento comum que os aviões comerciais estacionam em portões ligados aos terminais, mas as disposições de estacionamento para aeronaves privadas podem ser menos familiares. Vamos nos aprofundar no conceito de Operador de Base Fixa (FBO) e seu papel crucial na aviação privada.
Como surgiu o FBO?
Semelhante aos circos, os pilotos e mecânicos frequentemente trabalhavam “na estrada” sem ter uma base formal. Após a aprovação da Lei de Comércio Aéreo dos EUA de 1926, foram introduzidas regulamentações relativas ao treinamento e manutenção. Isto forçou pilotos e mecânicos a estabelecerem negócios permanentes e não transitórios nos aeroportos para continuarem a prestar serviços.
A prática comercial não transitória é a razão pela qual as empresas são chamadas de “Operadoras de Base Fixa”. Inicialmente fundada em Albuquerque Novo México como Cutter Flying Service Inc.Cortador Aviação FBOé o FBO em funcionamento contínuo mais antigo, que remonta a 1928.
O que é um Operador de Base Fixa?
Sou funcionário de meio período do FBO; Costumo descrever os FBOs para minha família e amigos que não são da aviação como estações de serviço para aeronaves. Embora alguns postos de gasolina forneçam nove metros de serviço, alguns oferecem apenas gasolina. Grandes empresas petrolíferas possuem alguns postos de gasolina – pensem na Mobil, na British Petroleum, na Shell, na Sunoco – enquanto outras são apenas lojas familiares. O mesmo se aplica aos FBOs em aeródromos, mas para serviços relacionados com aeronaves e podem ser propriedade de grandes empresas como Signature Aviation, MillionAir e Atlantic Aviation; outros fornecem apenas combustível e também podem ser familiares. Embora atendam principalmente aeronaves privadas, alguns FBOs em aeroportos maiores fornecem combustível para aviões comerciais. Existem agora mais de 3.000 FBOs em aeródromos de todos os tamanhos em todo o país.
Qual é a diferença entre um FBO e um terminal?
Embora a palavra “terminal” possa se referir a um FBO (Operador de Base Fixa), os dois apresentam diferenças significativas. Um dos contrastes mais marcantes é o nível de triagem de segurança. Os terminais, que atendem companhias aéreas comerciais, implementam medidas de segurança rigorosas antes dos passageiros embarcarem nos aviões. Essas medidas incluem agentes da TSA, scanners e verificações completas de bagagem. Em contrapartida, os OESA, que atendem à aviação privada, não têm o mesmo nível de requisitos de segurança. Isso ocorre porque o risco de sequestro de aeronaves privadas é considerado mínimo. Como resultado, os FBOs não são obrigados a ter agentes ou scanners da TSA no local.
Outra diferença importante entre terminais e FBOs é o processo de embarque. Os terminais normalmente possuem portões designados através dos quais os passageiros embarcam e desembarcam entre os voos. As pontes de embarque geralmente conectam esses portões ao edifício do terminal, permitindo que os passageiros caminhem diretamente do terminal para a aeronave. Em contraste, os FBOs geralmente não possuem portões. Em vez disso, os passageiros geralmente podem caminhar até a aeronave com pouco mais do que um membro conhecido da tripulação ou um funcionário do FBO. Este processo de embarque simplificado contribui para a flexibilidade e conveniência geral dos FBOs.
Os terminais geralmente oferecem uma ampla gama de comodidades e serviços, como restaurantes, lojas, salões e, às vezes, até hotéis. Embora as comodidades variem nos FBOs, eles geralmente se concentram em serviços relacionados à aviação, como planejamento de voo, catering e transporte terrestre. Alguns FBOs sofisticados podem oferecer salões luxuosos e serviços de concierge.
Serviços oferecidos por FBOs
Além do abastecimento, as Operadoras de Base Fixa normalmente oferecem:
- Manutenção de aeronaves
- Aluguel de hangar
- Serviços de amarração/estacionamento
- Restauração
- Lanches de cortesia
- Serviços de concierge
- Assistência no planejamento de voo
- Salas de tripulação
- Arranjos de transporte terrestre
Foto: Noah Cooperman | Voo Simples
Saber mais:Os 4 melhores FBOs (operadores de base fixa) nos EUA e no mundo
Comparações de cartões de jato particularalerta, porém, que:
"Se você está acostumado com lounges internacionais de primeira classe e classe executiva em companhias aéreas como Cathay Pacific, Emirates ou Lufthansa, pode ficar desapontado. Normalmente você encontrará água engarrafada, café e talvez uma máquina de pipoca como cortesia.
"Além disso, às vezes há doces e salgadinhos embalados de cortesia. Pense em pretzels e biscoitos. Mais frequentemente, refrigerantes e salgadinhos embalados são oferecidos em máquinas de venda automática. Alguns FBOs têm restaurantes ou cafeterias projetados para atender a comunidade aeroportuária local, mas abertos também aos passageiros."
Os FBOs podem ter um balcão para os passageiros realizarem os procedimentos alfandegários internacionais, composto por funcionários aduaneiros que auxiliam na documentação e nas inspeções. Alguns FBOs sofisticados até oferecem simuladores de golfe para os pilotos praticarem a tacada inicial.

Foto de : Million Air FBO HPN
Graças às suas restrições reduzidas e maior flexibilidade, os FBOs também são locais ideais para escolas de voo e operações charter. As escolas de voo podem utilizar FBOs para fornecer aos alunos treinamento prático em um ambiente de aviação do mundo real, e as operações charter podem usar FBOs como base de operações, permitindo-lhes oferecer serviços personalizados e eficientes aos seus clientes.
Onde encontro o FBO?
Vale ressaltar que nem todo aeródromo possui um FBO, e alguns aeródromos possuem múltiplos. Se você estiver voando para um campo de aviação, seu suplemento cartográfico provavelmente terá as informações mais precisas. Serviços digitais como Foreflight, Garmin Pilot App e Skyvector também fornecem informações FBO. O Google Maps pode fornecer detalhes incorretos, pois é atualizado com menos frequência das opções anteriores.
Vale ressaltar, entretanto, que nem todo aeródromo possui um FBO, e alguns aeródromos possuem múltiplos. Por exemplo, o Aeroporto Internacional de Daytona Beach, na Flórida, tem três: SheltAir no terminal de passageiros, Yelvington Jet perto da torre de controle de tráfego aéreo e ATP Jet Center entre as pistas 25L e 25R.
Foto: Noah Cooperman | Voo Simples
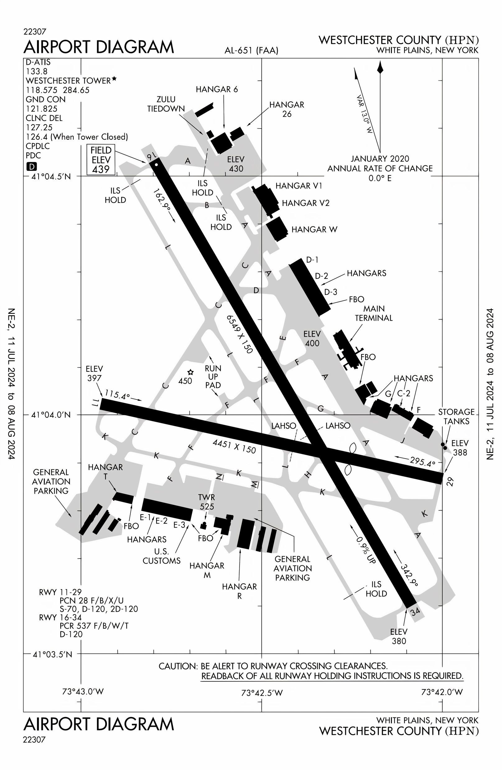
Às vezes, uma empresa FBO possui edifícios em vários lados de um campo de aviação. No Aeroporto do Condado de Westchester (HPN), em Nova York, a Signature Aviation possui dois edifícios: um no lado leste e outro no oeste. A Atlantic Aviation também possui edifícios leste e oeste na HPN. Enquanto isso, o MillionAir FBO possui apenas um prédio no lado oeste da HPN. Você consegue contar todos os FBOs no diagrama abaixo? Deixe-nos saber nos comentários quantos você encontrou!

Diagrama: Administração Federal de Aviação
O futuro sustentável dos FBOs
À medida que a aviação geral se adapta a tecnologias mais sustentáveis, o mesmo deve acontecer com os Operadores de Base Fixa. Quando a Textron anunciou que sua aeronave monomotor a pistão atualmente existente pode funcionar com combustível sem chumbo, os FBOs começaram a oferecer avgas sem chumbo.
Algumas FBOs estão começando a oferecer Combustível de Aviação Sustentável (SAF), uma mistura de matéria-prima orgânica e combustível de aviação tradicional que é até 80% mais eficiente que o combustível de aviação convencional.
Se o SAF não for oferecido num determinado aeroporto, um operador de aeronave ainda pode compensar quaisquer emissões de gases com efeito de estufa pagando um prémio na compra de combustível; este prêmio ajuda a financiar a produção de SAF. Isso é chamado de método “Book and Claim”, oferecido porAssinatura da Aviação FBO.
Foto: Noah Cooperman | Voo Simples
À medida que a tecnologia avança, o carregamento de aeronaves elétricas acabará por se tornar padrão em mais FBOs em todo o país. Os FBOs nos três heliportos de uso público em Manhattan, Nova York, eliminarão gradualmente o combustível de aviação para helicópteros e introduzirão carregadores para aeronaves elétricas de decolagem e pouso verticais (eVTOL). Os carregadores provavelmente obterão energia de painéis solares nos telhados dos FBOs, o que os ajudará a serem mais autossustentáveis.
Embora a adoção possa levar mais tempo, os FBOs começarão a fornecer combustível de hidrogênio para aeronaves com células de combustível.
Concluindo, os Operadores de Base Fixa (FBOs) desempenham um papel vital na aviação privada, fornecendo uma ampla gama de serviços a pilotos, passageiros e proprietários de aeronaves. Do abastecimento e manutenção ao aluguel de hangares, catering e assistência no planejamento de voo, os FBOs se dedicam a garantir uma experiência de aviação contínua e eficiente.
À medida que a indústria evolui, as FBOs estão a adotar práticas sustentáveis, oferecendo avgas sem chumbo, Combustível de Aviação Sustentável (SAF) e estações de carregamento de aeronaves elétricas. Os FBO estão a posicionar-se para um futuro sustentável, ao mesmo tempo que apoiam o crescimento e o desenvolvimento da aviação privada, adaptando-se às novas tecnologias e satisfazendo a crescente procura de opções de aviação mais ecológicas.
Subscription
Enter your email address to subscribe to the site and receive notifications of new posts by email.
